-
Superficie
95 mq
-
Bagni
2
-
Camere
2
Descrizione
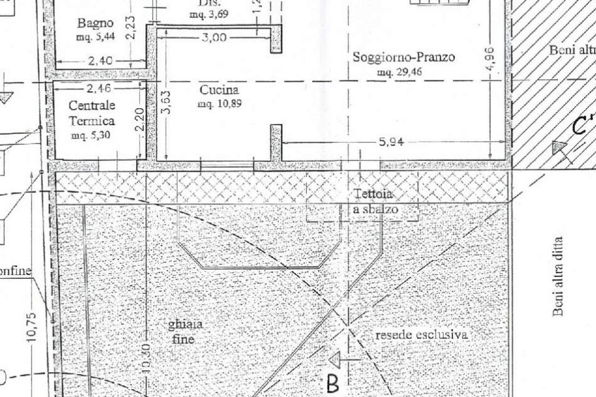
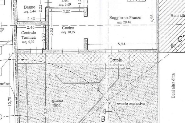
PIETRASANTA: 5 km dal mare, terratetto composto da soggiorno, cucina e bagno al piano terra; camera, cameretta e bagno al primo piano, giardino, ripostiglio. Superficie immobile mq.95, giardino disponibile mq.100, superficie commerciale mq.112. €.345.000,00 (costo al mq. €.3.080,00) RIF.250
Informazioni aggiuntive
Tipologia:Terratetto - Terracielo
Superficie:95 mq
Numero Vani:4
Numero Camere:2
Numero Bagni:2
Posto Auto:Posto Auto
Giardino:Privato
Cucina:Abitabile
Classe Energetica:G
P.E. Rinnovabile:2.16 kWh/m2
P.E. Non Rinnovabile:272.5 kWh/m2
Prestazione Estate:Bassa
Prestazione Inverno:Bassa
Terrazza/Balcone:Sì
Accessori
Riscaldamento:Autonomo
Tipo Riscaldamento:Radiatori
Distanze
Mare:5000m
















